City Of Titusville Zoning Map – Comments and questions about the proposed zoning designations can be sent to the project’s email inbox: newzoning@ottawa.ca. This is the first draft of the Zoning Map for the new Zoning and a more . As the mayor’s citywide zoning reform plan undergoes public review, City Limits is keeping tabs on responses. So far, more than half of the city’s community boards have voted unfavorably, though four .
City Of Titusville Zoning Map
Source : titusville.com
Home
Source : www.imaginebham.com
Chapter 29 SPECIAL DISTRICTS AND OVERLAYS | Land Development
Source : library.municode.com
GIS Maps | Sanford, FL
Source : sanfordfl.gov
CODE OF ORDINANCES, CITY OF TITUSVILLE, FLORIDA VOLUME II | Land
Source : library.municode.com
Snow Removal | Sandpoint, ID
Source : www.sandpointidaho.gov
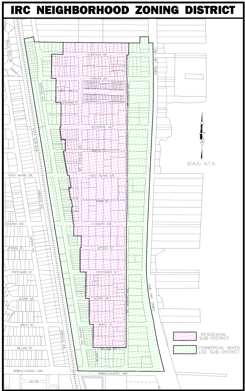
ARTICLE II. INDIAN RIVER CITY NEIGHBORHOOD ZONING | Land
Source : library.municode.com
Sandpoint Snow Removal Plan
Source : stories.opengov.com
District 6 | District 6 Birmingham, Alabama
Source : d6bham.com
Code Enforcement / Zoning / Building Inspector
Source : www.cityoftitusvillepa.gov
City Of Titusville Zoning Map X. District Map | Titusville, FL: There is a battle brewing in Titusville between the city government and residents. The city and various groups of residents are at arms over a variety of issues, most notably the city’s refusal to . TUCSON, Ariz. (13 News) – The City of Tucson wants your input as they work to change zoning codes to allow more development in empty lots across town. City leaders say this should allow for more .







